Belongs within: Hoplothripini.
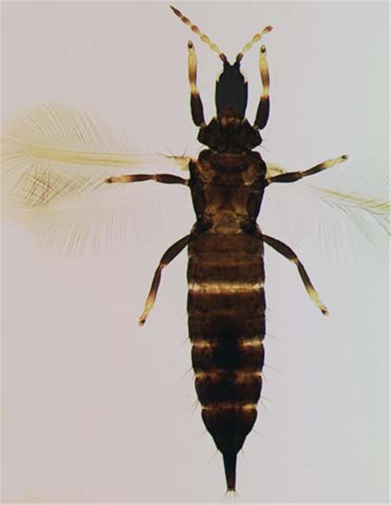
Liothrips is a large genus of leaf-feeding thrips, some species of which are used in the biological control of weeds. A large number of species have been described in this genus based on the assumption that they are largely host-specific; while this is true for some species, it is uncertain whether it should be assumed for the genus as a whole (Mound & Marullo 1996).
Characters (from Mound & Marullo 1996): Antennal segment III with one sense cone, segment IV with three; pronotum with five pairs of major setae; prosternal basantra absent; most body setae long and dark.
<==Liothrips Uzel 1895 MM96
|--*L. setinodis [=Phloeothrips setinodis] MM96
|--L. adisi Zur Strassen 1978 MM96
|--L. ampelopsidis (Moulton 1927) [=Rhynchothrips ampelopsidis] MM96
|--L. anonae Moulton 1933 MM96
|--L. antennatus Priesner 1933 MM96
|--L. araliae Hood 1935 MM96
|--L. arrogantis Johansen 1978 MM96
|--L. ater Girault 1927 G27
|--L. atricolor De Santis 1950 MM96
|--L. avocadis Hood 1935 MM96
|--L. aztecus Johansen 1981 MM96
|--L. barronis Hood 1936 MM96
|--L. bibbyi Watson 1924 MM96
|--L. bispinosus Hood 1938 MM96
|--L. bondari Moulton 1933 MM96
|--L. brasiliensis Moulton 1933 MM96
|--L. brevicornis Hood 1913 MM96
|--L. brevifemur Girault 1928 G28a
|--L. brevitubus (Moulton 1929) [=Rhynchothrips brevitubus] MM96
|--L. ‘brevitubus’ Kono 1964 non Rhynchothrips brevitubus Moulton 1929 MM96
|--L. buffae (Hood 1908) [=Trichothrips buffae] MM96
|--L. capnodes (Hood 1956) [=Rhynchothrips capnodes] MM96
|--L. caryae (Fitsch 1856) (see below for synonymy) MM96
|--L. castaneae Hood 1915 MM96
|--L. citricornis (Hood 1908) [=Phyllothrips citricornis; incl. L. flavoantennis Watson 1916] MM96
|--L. colimae Moulton 1929 MM96
|--L. condei Moulton 1933 MM96
|--L. cordiae Hood 1935 MM96
|--L. corni Moulton 1926 MM96
|--L. cunctans (Cott 1956) [=Rhynchothrips cunctans] MM96
|--L. debilis (Hood 1925) [=Rhynchothrips debilis] MM96
|--L. dentifer (Hood 1912) [=Rhynchothrips dentifer] MM96
|--L. distinctus Moulton 1938 MM96
|--L. dumosus (Moulton 1907) [=Trichothrips dumosus] MM96
|--L. epimeralis Hood 1938 MM96
|--L. eremicus Cott 1956 MM96
|--L. errabundus Zur Strassen 1975 [incl. L. claripennis Moulton 1933] MM96
|--L. floridensis (Watson 1913) [=Cryptothrips floridensis] MM96
|--L. gaviotae (Moulton 1929) [=Haplothrips gaviotae] MM96
|--L. herbae Girault 1928 G28c
|--L. ilex (Moulton 1907) [=Trichothrips ilex] MM96
|--L. invisus (Cott 1956) [=Rhynchothrips invisus] MM96
|--L. laureli (Mason 1922) [=Cryptothrips laureli] MM96
|--L. lepidus Cott 1956 MM96
|--L. longitubus (Hood 1908) [=Trichothrips longitubus] MM96
|--L. macgregori Johansen 1978 MM96
|--L. matudai Johansen 1981 MM96
|--L. melaleucae Girault 1926 G26
|--L. mendesi Moulton 1933 MM96
|--L. mexicanus (Moulton 1929) [=Hoplothrips mexicanus; incl. Teuchothrips pithecolobii Hood 1940] MM96
|--L. mikaniae (Priesner 1923) [=Gynaikothrips mikaniae] MM96
|--L. monoensis Kono 1964 MM96
|--L. montanus Hood 1913 MM96
|--L. muscorum Watson 1926 MM96
|--L. neosmerinthi Mound & Palmer 1992 (see below for synonymy) MM96
|--L. niger Girault 1927 GM79
|--L. nigriculus (Hood 1956) [=Rhynchothrips nigriculus] MM96
|--L. ocellatus Hood 1908 MM96
|--L. oniscus Girault 1928 G28b
|--L. parcus (Johansen 1978) [=Rhynchothrips parcus] MM96
|--L. penetralis Hood 1935 MM96
|--L. perseae Watson 1924 MM96
|--L. peruviensis Moulton 1933 MM96
|--L. piger (Hood 1925) [=Rhynchothrips piger] MM96
|--L. priesneri Bianchi 1968 MM96
|--L. pruni (Hood 1912) [=Rhynchothrips pruni] MM96
|--L. querci Moulton 1929 MM96
|--L. reticulaticeps Girault 1927 GM79
|--L. rostratus (Hood 1927) [=Rhynchothrips rostratus] MM96
|--L. russelli (Hood 1925) [=Rhynchothrips russelli] MM96
|--L. salti Moulton 1933 MM96
|--L. sambuci Hood 1913 MM96
|--L. satanas (Priesner 1923) [=Gynaikothrips satanas] MM96
|--L. seticollis Karny 1912 [incl. L. obscuricornis Priesner 1921] MM96
|--L. similis Bagnall 1910 MM96
|--L. striaticeps (Blanchard 1851) [=Thrips striaticeps] MM96
|--L. sulcifrons (Hood 1936) [=Gynaikothrips sulcifrons] MM96
|--L. tabascensis Johansen 1976 MM96
|--L. tandiliensis (Liebermann & Gemignani 1931) [=Phloeothrips tandiliensis] MM96
|--‘Neothrips’ tertius [=Rhynchothrips tertius] MM96
|--L. tessariae Hood 1915 MM96
|--L. tridentatus (Shull 1909) [=Trichothrips tridentatus; incl. L. leucogonis Hood 1915] MM96
|--L. tupac Hood 1938 MM96
|--L. umbripennis (Hood 1909) (see below for synonymy) MM96
|--L. unicolor Moulton 1933 MM96
|--L. urichi Karny 1923 MM96
|--L. usitatus (Hood 1927) [=Rhynchothrips usitatus] MM96
|--L. vaneeckei Priesner 1920 MM96
|--L. varicornis Hood 1912 MM96
|--L. vernoniae Moulton 1933 MM96
|--L. versicolor (Moulton 1929) [=Rhynchothrips versicolor] MM96
|--L. vigilax Hood 1938 MM96
|--L. walsinghami Girault 1928 G28b
|--L. xanthocerus Hood 1927 MM96
`--L. zetecki Hood 1913 MM96
Liothrips caryae (Fitsch 1856) [=Phloeothrips caryae; incl. L. dendropogonis Watson 1938, L. floridensis Watson 1916] MM96
Liothrips neosmerinthi Mound & Palmer 1992 [incl. Neosmerinthothrips debilis Hood 1936 non Rhynchothrips debilis Hood 1925] MM96
Liothrips umbripennis (Hood 1909) [=Phyllothrips umbripennis; incl. L. mexicana Crawford 1910 non Hoplothrips mexicanus Moulton 1929] MM96
*Type species of generic name indicated
REFERENCES
[G26] Girault, A. A. 1926. New pests from Australia. III. Privately published (reprinted Gordh, G., A. S. Menke, E. C. Dahms & J. C. Hall. 1979. The privately printed papers of A. A. Girault. Memoirs of the American Entomological Institute 28: 203-204).
[G27] Girault, A. A. 1927. New Australian animals so far overlooked by outsiders. Privately published (reprinted Gordh, G., A. S. Menke, E. C. Dahms & J. C. Hall. 1979. The privately printed papers of A. A. Girault. Memoirs of the American Entomological Institute 28: 211-212).
[G28a] Girault, A. A. 1928a. A prodigeous discourse on wild animals. Privately published (reprinted Gordh, G., A. S. Menke, E. C. Dahms & J. C. Hall. 1979. The privately printed papers of A. A. Girault. Memoirs of the American Entomological Institute 28: 218-220).
[G28b] Girault, A. A. 1928b. Some Insecta and a new All Highness. Privately published (reprinted Gordh, G., A. S. Menke, E. C. Dahms & J. C. Hall. 1979. The privately printed papers of A. A. Girault. Memoirs of the American Entomological Institute 28: 225-228).
[G28c] Girault, A. A. 1928c. Notice of a curious professor and of native wasps and wood lice. Privately published (reprinted Gordh, G., A. S. Menke, E. C. Dahms & J. C. Hall. 1979. The privately printed papers of A. A. Girault. Memoirs of the American Entomological Institute 28: 229-232).
[GM79] Gordh, G., A. S. Menke, E. C. Dahms & J. C. Hall. 1979. The privately printed papers of A. A. Girault. Memoirs of the American Entomological Institute 28: 1-400.
[MM96] Mound, L. A., & R. Marullo. 1996. The thrips of Central and South America: an introduction (Insecta: Thysanoptera). Memoirs on Entomology, International 6: 1-487.

No comments:
Post a Comment
Markup Key:
- <b>bold</b> = bold
- <i>italic</i> = italic
- <a href="http://www.fieldofscience.com/">FoS</a> = FoS